Lotnisko Grądy EPGY

Informacje o lotnisku

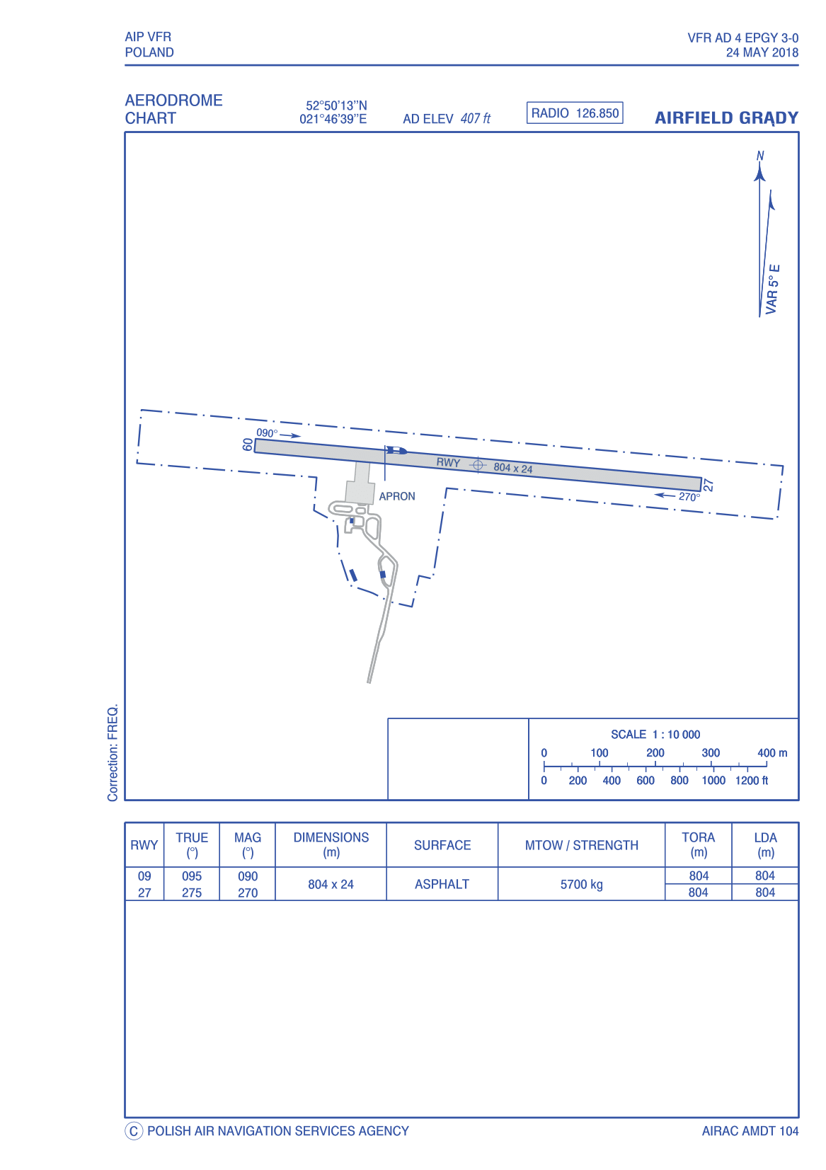
ARP

E 21º 46’ 39.49’’
N 52º 50’ 13.11’’
(WGS-84)

Lotnisko

RWY: 27/09
Nawierzchnia: Asfalt
TORA/LDA: 804 metry
Elewacja: 124,21 m (407 ft) AMSL
Loty VFR Noc: światła przenośne

Grądy Radio 126,850

Położenie w stosunku do miasta Ostrów Mazowiecka: azymut 300° GEO, odległość 9,5 km (5,1 NM)

Łączność z organami Służby Ruchu Lotniczego: FIS Olsztyn - na częstotliwości 118,775 MHz, telefon: + 48 22 574 55 88

Lądowisko Grądy położone jest pod EPTS02 sektor D, którego granice pionowe wynoszą od GND do FL660. Wykonywanie startów z lądowiska jest możliwe tylko w przypadku braku aktywności strefy TS02D. Aktywność strefy podawana jest w Biuletynie wykorzystania przestrzeni powietrznej AUP, z którego należy określić zakres czasowy i wysokościowy aktywności.

Lądowisko położone jest w zachodniej części masywu leśnego, otoczone lasem mieszanym z przewagą sosny, o wysokości drzewostanu 5 do 15 m. Po starcie na kierunku wschodnim brak pól dogodnych do awaryjnego lądowania. W obu kierunkach na szerokości 100 m wycinka leśna na długości 200m od granicy pola wzlotów.

Po południowej stronie pasa startowego na jego krawędzi trawiastej, umieszczony jest standardowy rękaw lotniczy pomalowany w biało-czerwone pasy, na maszcie o wys. 12 m obok kontenera stanowiącego pomieszczenie operacyjne lądowiska.

Brak przeszkód lotniczych w rozumieniu definicji. Lądowisko położone jest wewnątrz masywu leśnego, co stanowi poważne utrudnienie lotów dla niektórych rodzajów statków powietrznych, szczególnie dla SP bez napędu ze względu na występującą turbulencję termiczną nad pasem startowym oraz małą ilość pól do awaryjnego lądowania na kierunku wschodnim.

Ceny usług lotniskowych

Wszystkie poniższe ceny zawierają podatek VAT

Lądowanie i start


50 zł
za 1 operację

  • Dotyczy również Touch&Go

Postój na płycie


30 zł
za postój samolotu w dzień powyżej 3h

40 zł
za postój samolotu w nocy

Hangarowanie


50 zł
za postój samolotu do 1 doby

1000 zł
za miesięczny postój samolotu

  • Tylko po wcześniejszym uzgodnieniu